专业合作赛道 | 第十三届江苏省园艺博览会“新江南·新园博·新生活”设计任务书发布
| 发布:2023-09-08 |
4525




“第十三届江苏省(无锡)园艺博览会”为第十届“紫金奖·建筑及环境设计大赛”的专业合作赛道。根据大赛组委会的工作部署,特制定如下设计任务书。
01
项目概况

江苏省园艺博览会由省人民政府主办,设区市人民政府申办,自2000年以来已连续举办了十二届。第十三届江苏省园艺博览会由无锡市人民政府承办,选址于江阴市徐霞客镇马镇片区(原马镇镇区),是锡澄协同发展区的重要节点。竞赛用地包含园博会核心展示区(面积约229公顷)及原马镇镇区,总面积约597公顷。园博会核心展示区范围内有徐霞客故居、仰圣园(晴山堂石刻)、徐霞客博览园(博物馆)、滨水生态空间和闲置绿地等各类资源,原马镇镇区范围内有徐霞客公园、社区公共空间、街角巷弄等多类生活空间,文化底蕴深厚,生态环境良好,水网系统发达,存量建筑丰富。
第十三届江苏省(无锡)园艺博览会将从会展联动、空间融合、功能共享等维度促进园镇一体化,积极探索城市更新和双碳目标背景下的转型发展,打造一届镇园相融、绿色低碳和无界共享的多维盛会。建园模式在空间建造基础上突出场景营造,紧密依托现状生态基底、路网水系和存量建筑,营造多元主题场景,融入文化展示、休闲体验、低碳示范、科普教育和旅游度假等复合功能,将本届园博会打造为彰显霞客文化的载体、传承江南文化的媒介、践行绿色理念的典范、展现人民乐享的平台和激发锡澄一体的触媒,推动成为绿色城乡建设的综合实践和样板工程。

▲第十三届江苏省园艺博览会博览园区位图
02
设计任务
为以“赛”促“会”,以“会”兴“赛”,推动行业创意设计资源汇聚和实践交流,聚焦传承创新和存量更新,根据本届大赛主题和本届园博会总体方案和总体规划,本赛道以“新江南·新园博·新生活”为主题,围绕镇区和园内联动更新、展园和展陈设计互促,结合口袋公园、绿道、滨水绿岸等建设,以及街巷空间、既有公园、存量建筑、农贸市集、养老设施等更新改造和产业业态策划等发展诉求,梳理形成“温情邻里”、“园艺疗愈”、“绿色低碳”、“江南水乡”、“霞客文化”、“生活美学”、“烟火街巷”、“都市田园”等8个推荐主题场景和18个设计单元。参赛者可以聚焦某个或多个场景意象,选择单个或多个设计单元,也可在镇区和园博会核心展示区范围内选择与竞赛内容相关的题材自拟主题、自主创作。
03
推荐选题

▲第十三届省园艺博览会专项赛道
设计选题及设计单元分布图

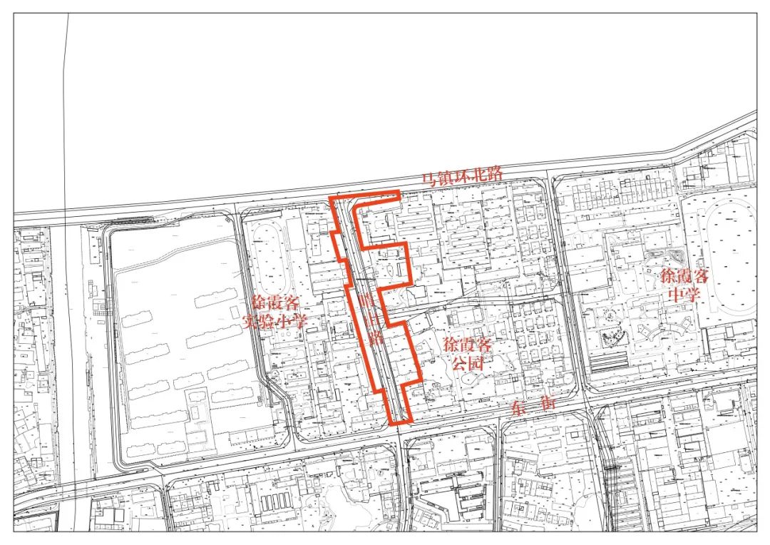
设计单元S1(街巷空间):
该单元为镇区晴山路(环镇北路至东街)两侧沿街空间,紧邻徐霞客实验小学、中心幼儿园和徐霞客公园,面积约1.93公顷。现状含马镇广播电视站、马镇卫生院及部分老旧小区,街道两侧建筑风貌老旧、杂乱,交通组织欠佳,绿化空间品质不高,是老镇区问题较为集中的典型片区。
竞赛鼓励聚焦场地周边用地功能和居民生活需求,通过街道环境和公共空间设计等,促进街道功能完善,提升街道整体面貌和活力,营造有颜值、有温度的邻里空间。


▲S1卫星图(上)CAD线稿图(下)
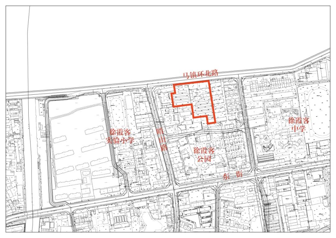
设计单元S2(敬老院):
该单元位于镇区晴山路东侧,环镇北路南侧,面积约1.27公顷。现状为马镇敬老院,实际使用功能与效率偏低,缺乏公共设施配套与景观塑造。
竞赛鼓励结合敬老院进行适老化改造,聚焦布局优化、空间梳理、配套设施完善、景观品质提升等内容,满足现代适老型多样化功能需求,打造老年颐养的乐享空间。


▲S2 卫星图(上)CAD线稿图(下)
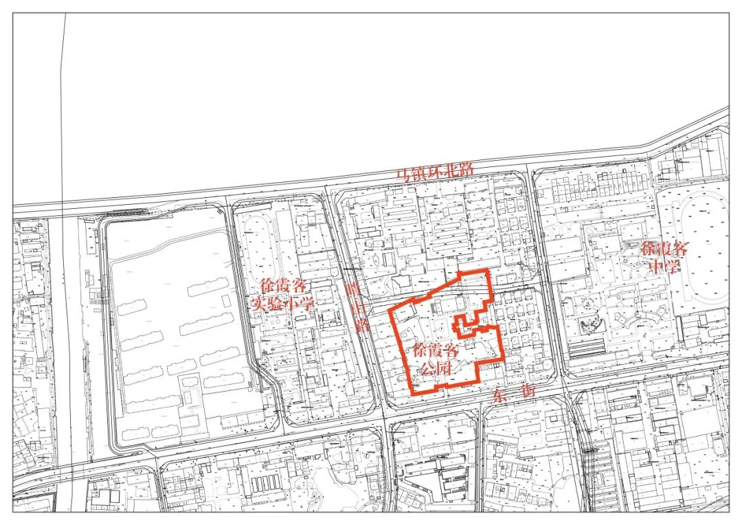
设计单元S3(徐霞客公园):
该单元位于镇区东街北侧,北侧紧邻徐霞客中心幼儿园和居住小区,面积约1.95公顷,其中水域面积0.32公顷。现状为徐霞客公园,是马镇镇区内唯一的公园。内部有少量叠石假山及亭、廊、榭等园林建筑,整体风貌与品质欠佳。
竞赛鼓励对公园内现有建筑、景观等进行更新改造,梳理水系,提升公园利用成效,更好发挥亲子侯学、休闲游憩、文化传承等功能,打造贴近生活、全龄友好的绿色开放空间。


▲S3卫星图(上)CAD线稿图(下)
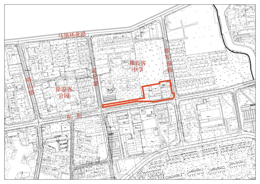
设计单元S4(护学街巷):
该单元位于镇区东街北侧(文化路至将军南路),紧邻徐霞客中学南门,面积约1.1公顷。现状沿街以大面积硬质场地为主,主要功能为机动车停车;东南角现存少量企业厂房,拟规划作为中学扩建地块使用。
竞赛鼓励结合徐霞客中学植入护学功能,优化街道空间交通组织,完善配套服务设施,探索具有示范意义的护学新街巷。


▲S4卫星图(上)CAD线稿图(下)

设计单元S5(原粮食仓储驿站):
该单元位于镇区白屈港西侧,规划绿博东路北侧,东街西街南侧,面积约2.55公顷。现状存量建筑为原粮食仓储驿站的遗留仓库,利用率较低,拟规划为镇区运动、休闲活动中心;东侧白屈港为区域性7级航道,常水位1.624米,设计洪水位2.904-3.194米。
竞赛鼓励结合现状建筑和滨水空间,通过旧仓库活化利用、景观空间营造等,植入全龄运动、休闲游憩等功能,打造舒缓身心、疗愈解压的公共空间。


▲S5卫星图(上)CAD线稿图(下)
设计单元S6(农贸市场、邮局):
该单元位于马镇社区中心,东街南侧,晴山路两侧,面积约2.32公顷。现状为马镇农贸市场、邮局,承载镇区重要的日常生活需求和公共服务,现状公共空间环境品质较低,农贸市场流线组织和内部摊位布置较混乱。
竞赛鼓励结合马镇节场文化,聚焦场地设计、建筑空间改造、流线组织、设施布局优化等,完善公共服务功能,提高公共空间品质,丰富市民活动空间。


▲S6卫星图(上)CAD线稿图(下)
设计单元S7(居住空间):
该单元北侧为镇区东西向主要街道(东街),北侧紧邻徐霞客公园,面积约1.02公顷,其中存量建筑面积8000平方米。现状为镇区居民居住空间,内部以硬质场地为主。未来居民主要车行出入口规划在东街和文化路,西侧霞客路规划为步行空间。
竞赛鼓励结合现状住宅和宅间空地进行设计,充分考虑居民日常生活需求,包括但不限于步行、停车(区域内机动车停车位不少于40辆、非机动车车位若干)、晾晒、休憩等功能,提升整体环境和居民生活品质。


▲S7卫星图(上)CAD线稿图(下)
设计单元S8(园艺街巷):
该单元位于镇区规划绿博东路北侧,文化路西侧,西南角为博览园北入口,紧邻徐霞客故居、仰圣园等,面积约1.46公顷,其中存量建筑面积约6000平方米。现状以独栋院落住宅为主,西南角为徐霞客社区服务中心(徐霞客村老年协会),北部地块拟规划为市民园艺临展空间。
竞赛鼓励基于现状住宅和街巷空间,充分考虑居民出行和生活需求,利用提升现状社区服务中心,引入园林园艺等元素,打造宜居生活空间和特色街巷。


▲S8卫星图(上)CAD线稿图(下)

设计单元S9(低碳公园):
该单元位于镇区规划绿博东路北侧,晴山路西侧,东南侧紧邻博览园北入口,东北侧紧邻规划城市驿站,西侧紧邻生活超市、宾馆等公共服务功能片区,东、西侧远景规划为商住用地,总面积约3.64公顷,其中水域面积1.48公顷。基地现状为荒置空闲绿地,拟规划为社区低碳示范公园。
竞赛鼓励立足于现状环境特征,融入绿色低碳、海绵城市建设等理念,增强蓝绿空间的生态功能和碳汇效能,打造为具有示范作用、让“自然”做功的低碳公园。


▲S9卫星图(上)CAD线稿图(下)

设计单元S10(花艺盆景展架):
该单元位于园博会核心展示区内,东侧紧邻徐霞客故居、仰圣园,北依现状水体,南侧为现状坑塘,面积约0.63公顷。规划为盆景园,拟在此举办全省花艺精品展,形式为花艺、盆景展架。
鼓励参赛者在展架设计中充分融入霞客文化、江南文化和园林园艺等要素,探索新材料、新工艺、新形式等的运用,设计富有美学创意和文化内涵的单体或组合展架。


▲S10卫星图(上)CAD线稿图(下)
设计单元S11(滨水空间):
该单元位于园博会核心展示区内,北侧紧邻徐霞客故居、仰圣园,面积约3.25公顷。现状大部分为坑塘水面,含一处排涝站,绿化空间较少;西侧白屈港为区域性7级航道,常水位1.624米,设计洪水位2.904-3.194米,东侧为园区内部水体,常水位1.374米,最高控制水位1.674米,其中排涝站年久失修,将进行拆后重建。
竞赛鼓励充分利用基地周边水系资源,考虑与北侧霞客故居、仰圣园的协调关系,植入地域文化等要素,形成富有江南地域特色的水乡场景空间。


▲S11卫星图(上)CAD线稿图(下)

设计单元S12(原中国徐霞客旅游博览园):
该单元现状为原中国徐霞客旅游博览园,面积约2.82公顷。现状植被较好,硬质景观存在老旧破损情况,西南角为保留的游圣码头,东部为存量建筑中国徐霞客旅游博物馆,建筑面积约5880平方米,建筑内部包含展陈、会议、办公等多种功能,拟改造作为园博会主展馆,会后转换为霞客文化科普教育基地。
竞赛鼓励充分利用现状良好的植被和建筑空间,聚焦霞客文化的内涵挖掘和室内外场景展示,与西侧徐霞客故居等历史文化资源形成新旧对话关系。


▲S12卫星图(上)CAD线稿图(下)

设计单元S13、S14、S15、S16(荒置空闲地):
四个单元均位于园博会核心展示区内,北侧比邻规划东西向主园路、企业展园和既有未完工小镇建筑群,南侧均临水,面积分别是0.53公顷、0.46公顷、0.53公顷、0.47公顷。设计场地现状均为荒置空闲地,部分场地内有零星大树。
竞赛鼓励围绕城市生活,挖掘典型生活美学元素和场景进行设计创作,不宜设置大体量建筑。


▲S13卫星图(上)CAD线稿图(下)


▲S14卫星图(上)CAD线稿图(下)


▲S15卫星图(上)CAD线稿图(下)


▲S16卫星图(上)CAD线稿图(下)

设计单元S17(既有建筑群):
该单元位于园博会核心展示区中部,北临水体,南邻规划东西向主园路,用地面积约7.42公顷。现状主要为未完工小镇建筑群,总建筑面积约50329平方米。
竞赛鼓励基于现状建筑布局和结构,优化完善建筑外立面和交通流线,植入住宿、餐饮、接待、展示、商业、非遗表演等业态和服务功能,营造富有生活气息的烟火街巷空间。


▲S17卫星图(上)CAD线稿图(下)

设计单元S18(二十四节气装置艺术展):
该单元位于园博会核心展示区中部的都市田园游赏区,西临白屈港,东侧临水,东西向和南北向主园路将该区域分为四个部分,由一条贯穿该区域的步行环路串联组织二十四个展位,各展位面积约50平方米。
竞赛鼓励根植于江南农耕文化,聚焦二十四节气内涵,结合花卉花艺等植物布置,形成花镜、装置艺术、景观小品等创意设计,打造二十四节气装置艺术展。


▲S18卫星图(上)CAD线稿图(下)
04
专项奖励
1、大赛组委会设“紫金奖”金奖、银奖、铜奖、优秀奖。江苏省住房和城乡建设厅设“组织奖”,“优秀作品奖”一、二、三等奖,以及专项合作赛道奖若干名。
2、专项合作赛道奖与其他奖项可叠加。
3、江苏省园艺博览会组委会办公室、无锡市人民政府和江阴市人民政府作为本赛事合作方,拟在获奖作品落地转化、优秀选手在无锡及江阴创业就业等方面给予相应的资源和政策支持。对于拟落地优秀作品,给予3-10万元/项的奖金。优秀作品拟在园博展会期间进行集中展示。
05
有关事项
QQ技术答疑群:667209394
参赛咨询:
江苏省住房和城乡建设厅
蒋春燕 025-51868763
江阴市城市综合管理局
邵燕 0510-86865805
报名截止日期:2023年9月30日
作品提交截止日期:2023年10月10日
作品提交要求详情请参照第十届“紫金奖·建筑及环境设计大赛“竞赛公告。(点击查看)

▲点击图片,查看竞赛公告
参赛服务

※点击下载设计基地相关资料
※点击下载设计任务书全文
敬请期待


为更好服务参赛
近期“建筑创意空间”
“园林艺术生活”公众号
将推出探园开放日预约通道、园博专项赛道设计基地720VR全景浏览
敬请关注和期待!
赛道合作方
江苏省园艺博览会组委会办公室
无锡市人民政府
江阴市人民政府
— END —



